Chamberlain, Cottage Grove, OR

$59,900

Previous Next

0.13

Acres

About Chamberlain

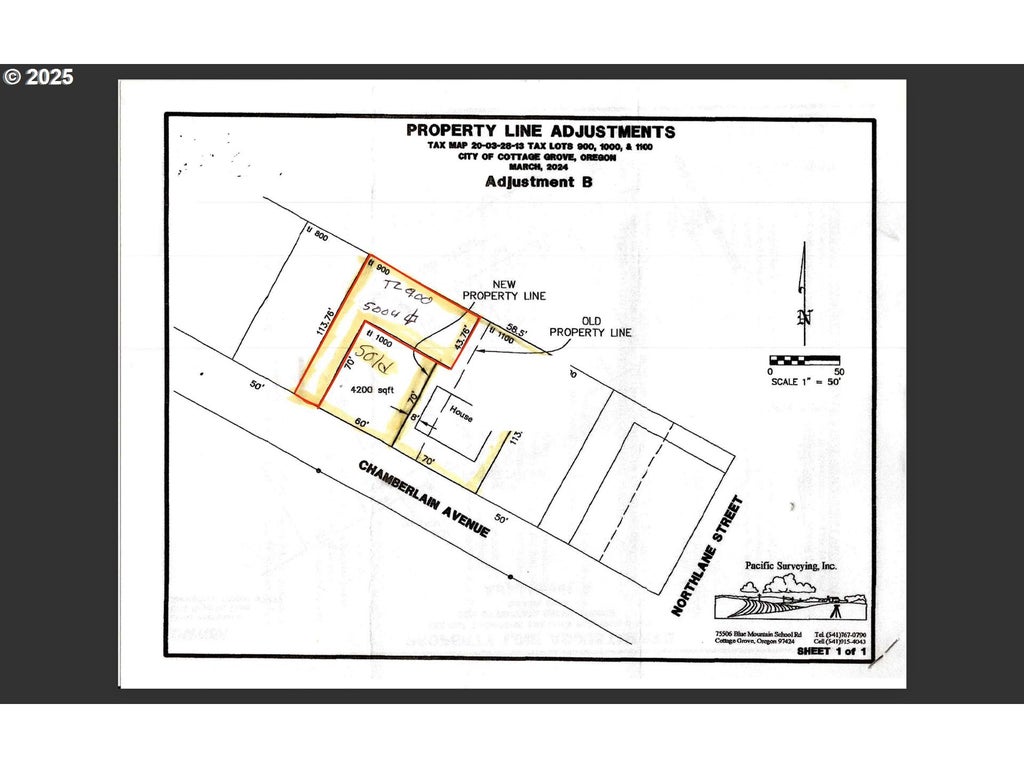
An adjoining vacant Tax Lot 900 to 1140 Chamberlain Ave which is listed separately (MLS#: 24523072). Can be purchased together.

Features of Chamberlain

MLS® # 422804326
Price $59,900
Bathrooms 0.00
Acres 0.13
Type Land
Sub-Type Residential/Recreational
Status Active

Community Information

Address Chamberlain
Area 235 - Lane Co: South Lane Properties
City Cottage Grove
County Lane
State OR
Zip Code 97424

Amenities

Utilities None
Is Waterfront No
Has Pool No

Interior

Fireplace No

School Information

Elementary Bohemia
Middle Lincoln
High Cottage Grove

Additional Information

Date Listed June 20th, 2025
Days on Market 124
Zoning R-2
Short Sale No
RE / Bank Owned No

Listing Details

OfficeH & H Real Estate

Listing Map

Request a Showing

Provide a valid email address.
When would you like to view this property?